"I really really believe
that dogs are angels sent by God to guide those of us lucky enough to share
this time with them. They guide us on a journey that we may not even realize
we've been on until they are called home."
"And in that time of loss,
we realize the amazing journey we have traveled with them. It is this journey
that holds your memories dear, it is those memories that in time will warm
your heart and smile at the life you all shared."
"Zoey has guided you to the
person you are today and she is proud. She has taken a piece of your heart
with her and she has left hers with you, forever together."
Her last drool picture.
Zoey was seen Christmas eve - December 24, 2007, for a lump on her front tooth, baytril started, diet changed, schedule for surgery after Christmas. In January of 2008 Dr. Kristin removed a lump from a front tooth gum area; skin tag by the corner of eye; teeth cleaned, etc. Zoey is up to date on shots, routine blood work thru out the year due to medications, etc.
July 3, 2008 - Zoey was doing her racing thru the house, spinning in circles trying to catch her tail and slammed into the corner of the wall. We called this her "pig ear buzz". Zoey gets a pig ear every night since she was a puppy, she has done this -- with this being her first time of smacking the wall. She was limping, favoring her right leg. I applied cold compresses to it for a few days and she restricted her movement. A week later she appeared fine. There was no swelling, no limping; but did note she was not her usual active self. I attributed this to the hot days, cold rains, etc.
July 18, 2008 - Zoey's other mom, who is a vet, spent the night here. It was a stormy weekend, but Zoey was normal.
July 29, 2008 we noticed she was favoring her front right leg sometimes, a limp here and there. Mark thought she was having sympathy pains and needed some extra cuddle time.
July 30, 2008, More limping, swelling started around the right elbow area. We are not aware of any reinjury happening. I checked her over for possible bug bite, ticks, etc. I checked the pad of her foot to see if maybe she had hurt it.
July 31, 2008, her elbow was more swollen, limping consistently, then in the afternoon -- I noticed her attempting to walk at times on the top of her toes, like she couldn't feel she was not on the pad of the foot. It is like her leg had fallen asleep.
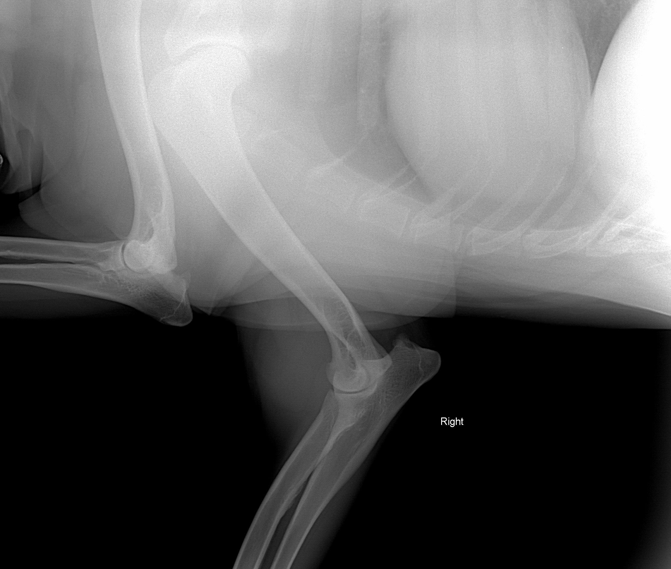
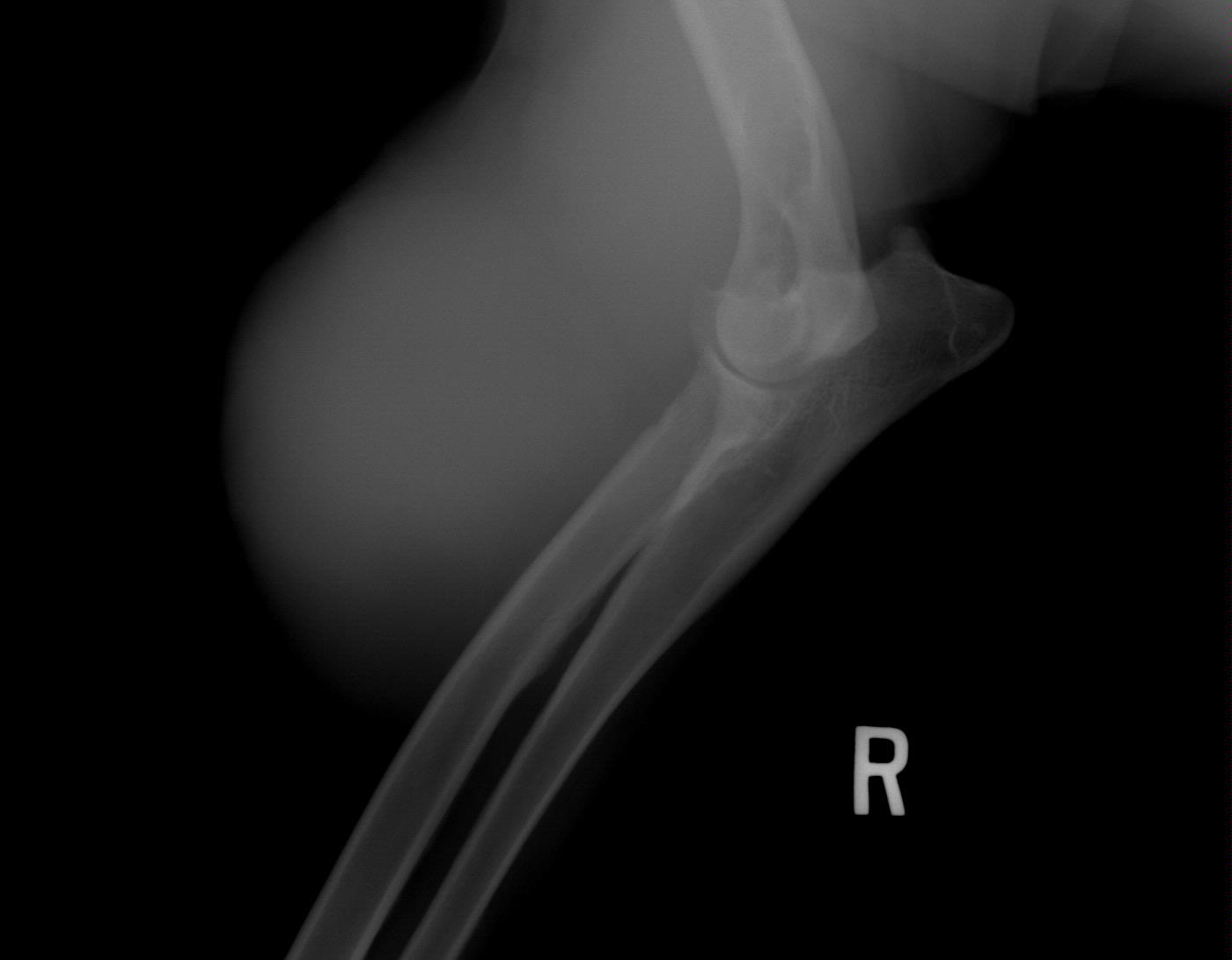
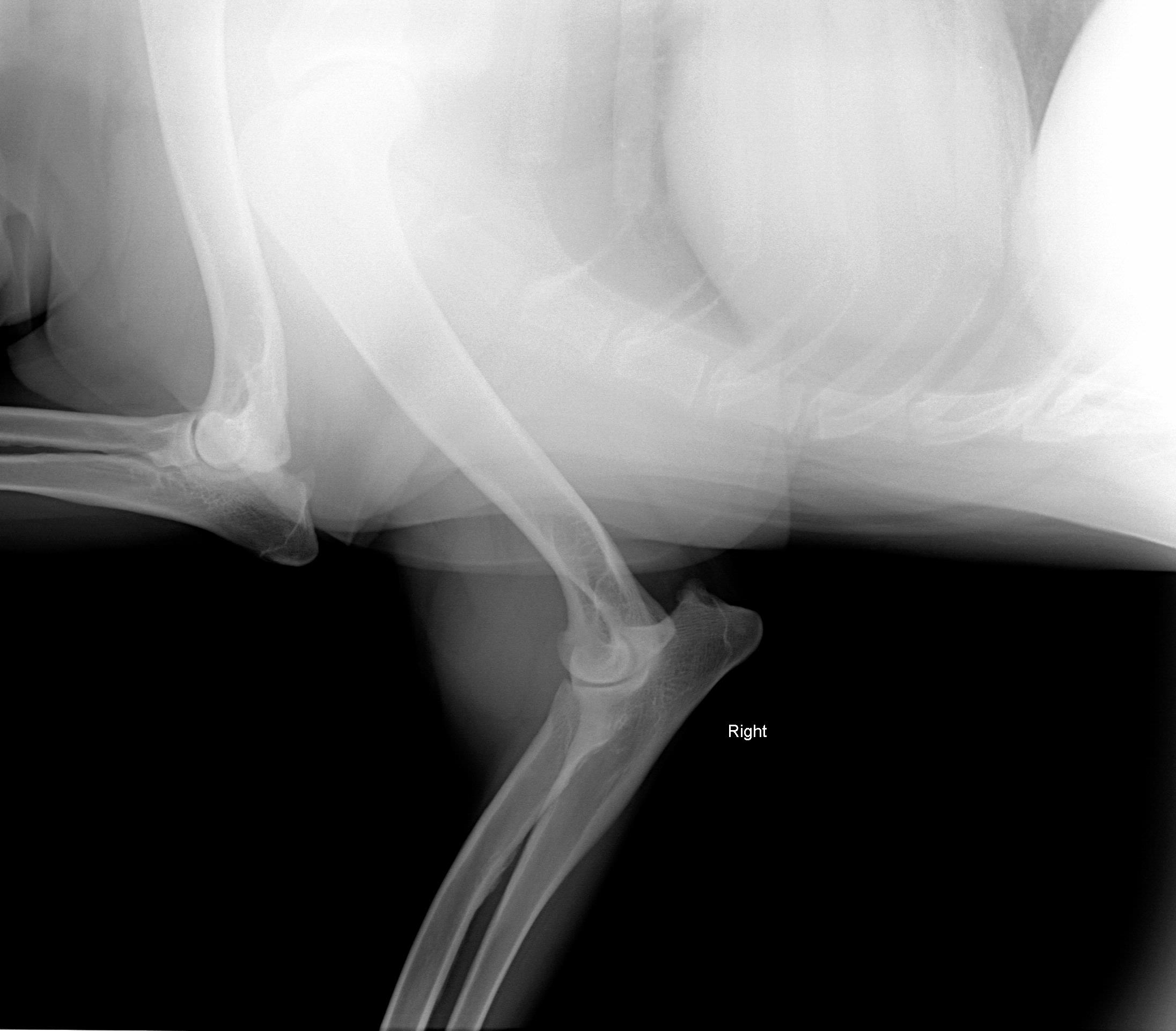
August 1, 2008 - X-rays taken at AMVC in Audubon, IA by Dr. Kristin Longfellow. She was not sedated for the x-rays. She was in slight discomfort in the area of the elbow if pressure was applied, at times seeing her trying to put weight on her toes, she was not in distress, but stiff and sore. We increased her metacam up to her weight limit.
August 4, 2008, Zoey was miserable, reluctance to go down two steps; favoring her front leg; licking it; swelling around elbow; very limited movement, etc. The swelling on the right elbow is not warm, nor cold to touch (unchanged). The swelling is hard/solid. Zoey was sleeping on her blanket (orthoped bed) on the floor without attempting to get on the bed with us at night. Zoey's eyes said she was miserable even though she was trying not to show it. The right leg is clearly marked on the xrays. She was conscious and not sedated for the xrays.
August 14, 2008, Xray CD, referral form, etc. were sent over night to Dr. Biller, KSU radiology, Manhattan, KS. .
August 15, 2008 -- Email from Dr. Kristin:
"I talked to Dr. Biller briefly today and
he said that he thinks the shoulder could be from Degenerative joint disease
and may be causing the lameness not the elbow swelling. He was going
to send me the report and I haven’t got the fax yet this afternoon.
It probably won’t come until Monday since it hasn’t come yet at 5pm.
The bones in the elbow he thought looked good. I am going to call down
to Midwest Vets on Monday and see if I can get some info on the shoulder
but he thought it might need surgery. I was waiting for his
final results on the paper before I called down to Midwest Vets in Omaha.
Just wanted to give you an update on what I know so far.
Thanks, Kristin"
August 20, 2008 -- Still no radiology report.
August 21, 2008 -- more xrays taken. This
time sent to Petrays in Texas. See CD for xrays.
Zoey is in the house 99% of the time, she
has free run of the house with her brother, Tuba (12 years old); she sleeps
on our bed at night. She has
a fenced in yard. Someone is always here
or they go with us. If she gets excited, she gets one of her stuffy toys
to carry around. Zoey and Tuba are
sweet/gentle dogs. Zoey has been on a diet
most of her adult life, with increased effort the last two months to get
her back to being on the lean side. At 95 pounds her ribs are noticeable,
she is at approximately 105 pounds now. Zoey is microchipped.
Medications:
1.) Proin (2 - 50 mgs in AM and PM) This
has been gradually increased over the last 2 years to control bed wetting.
2.) Metacam (100 -- liquid) This has been
gradually increased over the last three years to control pain due to hip
arthritis. (When Zoey was less than a year old, she was chasing Tuba over
the arm of the love seat and her back leg got caught - blood curdling scream
with the weight of her front end finally pulling the leg free from the
love seat. She was not put on crate rest immediately. Right after going
thru 3 weeks of crate rest, she did the splits in the back yard. Her one
back leg caught in the dirt and her other rear leg slid in the leaves,
whereby she did the splits and then took a tumble. I was in the yard when
it happened, the neighbor heard the scream, checked her for broken bones,
etc. and helped me get her into the house. We did not realize the seriousness
of the hip injury, until the arthritis showed up. It was a long recovery
in keeping her on the lean side, building up the muscles with exercise/range
in motion, orthopedic beds, supplements, pain management, massages, etc..)
We tried Rimadyl and she was toxic in three days, so we switched to Metacam
with success.
3.) Tramadol - started 8/5/08 - (2 - 50
mg in AM and PM), increased to 3-50 mgs every 8-10 hours, decreased to
2-50 mgs every 8-10 hours (8/18/08) to increased back to 3-50 mgs. every
8-10 hours 8/20/08) for comfort control. Increased to 175 mg. twice a day
and added a third dose of 100 mgs. in late afternoon.
4.) Baytril started Thursday (8-14) for
a week at 1.5 - 68mg twice daily. (Zoey can not tolerate most antibiotics,
but has had good results with baytril). Baytril started toward off infection,
possible pre-surgery. I am checking on this now. We did another road of
Baytril in February prior to the thought of doing a biospy.
Joint Health Supplement: Synovi
G3 by DVM increased from 2 chews to 4 chews per day - she has been
on the chews for the past 3-4 years.
Orthopedic beds - Zoey naps or sleeps 95%
of her time on one of them. They are placed in various locations, both
dogs have them, following the humans.
Fleece cover blankets - if it is cold, damp,
the AC is on -- Zoey's hips are covered with a fleece blanket.
Zoey has learned to keep her hips warm by
cuddling with Tuba or with humans -- pulling the blanket up.
Massage - daily. We were not seeing any
stiffness, soreness of the hips after implementing the above a few years
ago.
Zoey seen August 1, 2008 by Dr. Kristin Longfellow
due to limping and swelling of the front right forearm/elbow/shoulder area.
X-rays below.
Zoey also had complete routine comprehensive
bloodwork done; heartworm test (negative); her combination shot given;
etc.
August 20, 2008 update:
Zoey's right elbow is less swollen (50%),
slowly going down since Saturday, still noticeable though. She is doing
better at getting around, less pain and not walking on her knuckles when
she starts off. She is still in very, very slow motion, but alert. She
is doing about 10% better then a few days ago. Appetite good, eating good,
tolerating medications. She is more attentive to her surrounding, less
isolation. The swelling on the right elbow is still hard to the touch,
neither warm, nor cold to the touch. She is managing the two steps to get
outside better, less hesitation and taking one step versus rotating them.
She is making some adjustments to what works best for her. Zoey is unique
and the easiest dog we have owned in providing treatment to. You can put
warm/wet or cold compresses on, tell her to stay and she does. After her
hip was injured, the most I would get out of her was a groan or grunt,
when I was doing range in motion exercises on her.
------------------------------------------
February 13, 2009
Things are not looking good. We have done three separate series of x-rays on three different days and using two different radiology labs with the most recent being 2-13-09. We have done at least two series of Fine Needle Aspirations with the results being inconclusive. This lump has moved from the outside of the elbow, to the inside and now is on top of the elbow. In January we had the lump down to the size of a walnut and limited to the top of the elbow. Now it has ballooned up to the size of a softball with only reducing slightly on any given day.
March 11, 2009
A consultation done with Dr. Rexanne, blood work taken to consider debulking the leg.
March 13, 2009
Zoey told me it was time. It was taking
all she had to get up. Tuba remained on his bed in the living room- which
told me he knew as he was alway the first out the door to go bye-bye.
Medication changes since August include:
1.) Increase of the tramadol to 175 mg twice
a day (100 mg given in late afternoon as needed for pain started 3-6-09).
2.) Increase of the Synovi G3 chews to 6
a day (since 3/6/09 - difficulty getting her to eat in the morning)
3.) Increase of the warm moist heat packs
at least twice a day - (over the last week she will not accept warm wet
packs - but cold wet 3-9-09)
4.) Increase of massage to the leg and shoulder
area to three times a day. (nor massage of the leg for the last week- 3-9-09).
5.) Exercise and stretching as tolerated.
(limited movement in late afternoon - no stretching exercises tolerate
since 3-7-09)
6.) Just completed the third series of
Baytril thinking it was a chipped bone with possible infection - done 2/16/09).
7.) Remains on metacam once a day - 105
8.) Remains on Proin - 100 mg twice a day.
(refused to take one or both pills on some mornings -- but no wet beds.)
We have been unsuccessful in finding a hydrotherapy
treadmill we can rent to accommodate her size.
Picture taken August 17, 2008 - right leg - swelling to the outside. The swelling was to the outside.
Picture taken 1/24/09 - another lump has developed. The old lump was reduced to the size of a walnut with heat pack, physical therapy/massage (3x per day)
The following pictures are from last week 2/14/09.

These picture were taken 3-7-09

March 11, 2009 - patches on left leg was from being shaved to take blood. HER NOSE STILL WORKED GREAT.
On July 3, 2008, after Zoey finished her pig ear she was chasing her tail and caught the corner of the wall and never recovered from her injuries.The xray was taken 2/13/09
We consulted 5 vets, 3 series of x-rays, FNA twice and no one had ever seen anything like it before.
Physical therapy and heat pack three times a day gave us hope until the end of January.
She was not a candidate for amputation of the front leg.
She was sent to the bridge to be with her mom and dad
who will watch over her until we meet again.May Zoey's days at the bridge be filled with pig ears, scrambled eggs on Sunday morning, German movies, RVing with plenty of new smells, a big sandy beach front and surrounded by people, especially little kids
Please keep Tuba who is going on 13 in your thoughts and prayers as these two were inseparable.
--------------------
The following xrays were taken August 2008.
This picture was taken on Sunday - August
17, 2008 - Tuba is in the background being Zoey's shadow. The swelling
is slightly reduced.
This picture below was taken
on Monday night, August 18, 2008 as Zoey was eating her pig ear.
Not the best picture, but
you can see the difference in the elbows..
Zoey offering to share her pig ear, that
is OK Zoey... you can have it. She is so precious and she is feeling a
little better. Zoey's eyes are the measuring of discomfort.
